油气长输管道安全分布式光纤在线监测方案
分布式光纤声波传感(DAS)在输油管道领域可实现第三方破坏预警、泄漏监测、管道运行状态诊断、地质灾害监测等核心应用。通过分布式光纤捕捉管道周边的振动/声学特征,识别挖掘、钻孔、重型机械作业等威胁行为,实现实时预警与精准定位,解决传统人工巡线、视频监控的盲区与滞后性问题。
DAS凭借分布式、长距离、高灵敏与本质安全的优势,成为管道完整性管理的关键技术,常与DTS等技术融合部署以提升监测效能。
一、技术原理
DAS基于相干瑞利散射,通过窄线宽激光器在单模光纤中激发后向散射信号,将普通通信光纤转化为连续分布式声学传感器,实现振动与声波的长距离、高时空分辨率监测。

二、应用场景
1. 第三方破坏实时预警与定位
识别机械挖掘、人工开挖、钻孔盗油、重型车辆碾压等威胁行为。替代人工巡线,实现7×24小时无人值守,将预警时间从小时级缩短至秒级,显著降低施工破坏风险。
2. 输油管道泄漏(含微泄漏)检测
泄漏产生的压力波、流体喷射振动会传递到管壁与周围介质,被光纤捕捉并通过声学特征与背景噪声区分,结合DTS温度异常进一步确认。可识别传统压力/流量监测难以发现的微泄漏(如小孔径渗漏),定位精度达米级,减少环境污染与经济损失。
3. 管道运行状态与完整性监测
捕捉清管器运行的振动信号,实时定位与速度监测,保障清管作业安全,避免卡堵。
4. 地质灾害与环境风险监测
识别地震、滑坡、泥石流、地面沉降等导致的管道变形或断裂风险。捕捉地质活动引发的低频振动信号,结合历史数据建立风险阈值,提前预警并启动防护措施。
三、核心技术
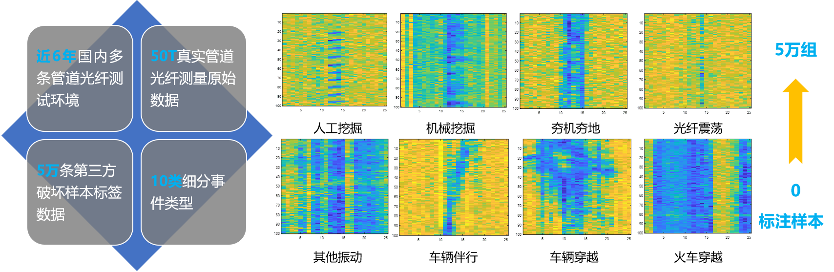
核心技术1:海量第三方挖掘样本,支撑AI建模。
真实管道第三方破坏光纤数据,深度支撑光纤预警AI模型的训练。
核心技术2:光纤传感物理学基础
光纤振动关键物理学参数提取,实现有效信息获取,降低数据维度
核心技术3:行为过程AI识别技术
自主开发光纤感知行为过程AI推理技术,实现多种管道威胁事件的智能识别与定位
核心技术4:模型迁移与部署
AI模型半监督迁移学习, 实现光纤传感设备低成本快速部署

四、核心优势
在输油管道防第三方破坏及完整性监测场景中,分布式光纤声波传感(DAS)相比传统监测技术(人工巡线、点式振动传感器、视频监控、压力监测等),具备分布式、高灵敏、本质安全、低成本运维等核心优势。
五、系统拓扑图

六、应用案例
我司分布式光纤声波传感系统应用于某油气运输管道。
清华珠三角研究院能源先进测控中心
深圳市希德威科技发展有限公司
地址:广州市黄埔区香雪八路98号F栋
地址:深圳市南山区科技北二路25号航天微电机大厦B座313
电话:0755-26925533(20线)
联系人:韩先生/万先生/余先生
手机:13509611418/13510856976/18520827068
传真:0755-26925533
邮箱:hqp@sidwayvca.com/whp@sidwayvca.com/ynp@sidwayvca.com
希德威官网:http://www.sidwayvca.com
